Село Весела Долина. Хутір Дар’євський, або Лохмачева
Україна, Дніпропетровська область
Історія давно зниклого села Весела Долина та хутора Дар’євський, або Лохмачева.
Присвячується пам’яті людей, які тут раніше жили та працювали.
Історичний нарис
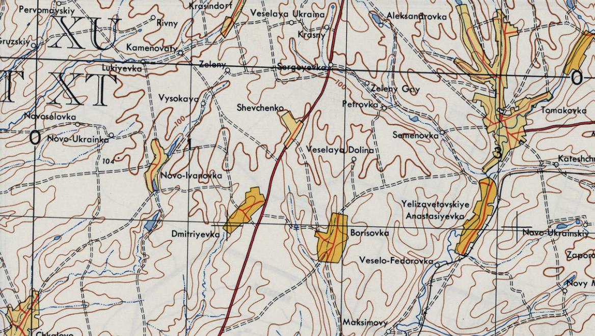
Томаківські степи, як і сусідні території, відомі ще з часів скіфів. На всій цій місцевості й досі збереглася велика кількість курганів, які височіють над полями. У XVIII столітті ці землі входили до складу Кодацької паланки – адміністративно-територіальної одиниці Війська Запорозького Низового. Центром паланки було місто Новий Кодак. У цій місцевості розташовувалися запорозькі зимівники, села та невеличкі хутори. Один із таких хуторів знаходився в самому глухому кутку степу. Перші згадки про нього з’являються на карті 1853 року, де він позначений як хутір Дар’ївський. Він розташовувався на правому березі балки з назвою Камликова. У середині XIX століття в цій балці було три ставки.
Відстань від хутора Дар’ївського до навколишніх населених пунктів становить: до села Семенівка – 7 км, до Петрівки – 6 км, до Борисівки – 5 км, до Привільного – 5 км, до Сергіївки – 9 км. На тій же карті 1853 року поруч із хутором Дар’ївським позначені й інші населені пункти: селище Мар’ївське, хутори Кирносова, Ловягіна (нині село Борисівка), Мар’їнськ (поблизу с. Семенівка). Проте від цих хуторів залишилися лише спогади.
Хутір посеред степів
Між селами Семенівка, Борисівка та Привільне пролягали широкі простори колишнього степу, на місці якого нині розташовані фермерські угіддя. Для пересічної людини ця територія – просто велика площа сільськогосподарських земель, де вирощують пшеницю, кукурудзу або соняшник. Сучасні поля розділені ґрунтовими дорогами, якими пересувається сільськогосподарська техніка: трактори, комбайни, вантажівки та інші транспортні засоби.
На перший погляд, місцеві краєвиди можуть здатися доволі однотипними: поле, дорога, лісосмуга – найпоширеніша панорама цієї місцевості, що практично не змінюється навіть на відстані кількох кілометрів. Ландшафт цієї території переважно рівнинний, хоча трапляються невеликі пагорби та впадини. Весь простір перетинають глибокі яри та довгі балки, деякі з яких вкриті густими байрачними лісами.
Балка Калмикова
Варто звернути увагу на доволі незвичну назву балки – Камликова. Існує кілька версій походження цього слова. «Камлик» – тюркське слово, яке пов’язують із релігією давніх тюрків, відомою в європейській літературі як шаманізм. У давньотюркській мові священника називали «кам», а «камлик» міг означати місце, пов’язане з культом чи релігійними обрядами. Інше можливе пояснення – географічне або побутове. У деяких сільських регіонах Кавказу, Закавказзя або Криму слово «камлик» означає кам’янисте місце, ущелину, яр або пасовище, вкрите камінням (від слова «камінь»).
Перша документальна згадка про балку Камликову зустрічається на карті Генерального межування Катеринославського повіту 1821 року. Враховуючи характер місцевості, друге пояснення назви видається вірогіднішим. Адже йдеться саме про яр – балку. До того ж за кілька кілометрів, поблизу річки Топила, розташовані кам’яні виходи граніту, про які свого часу писав відомий геолог Валеріан Домгер.
У нашому регіоні тюркізми трапляються досить часто, що пояснюється історичною присутністю тюркомовного населення, зокрема, кримських татар, які мешкали на лівому березі Дніпра. Як приклад тюркізму є назва сусіднього села Томаківка й однойменної річки. До тюркського шару лексики належать і слова, пов’язані з козацькою історією: отаман, жупан, ногайка та інші. У повсякденному побуті в селах також нерідко вживаються тюркізми: саман, тин, хата, сарай, чердак. І це лише невелика частина слів, які перекочували до нашої солов’їної мови з тюркських джерел.
У балці Камликовій росте вже доволі старовинний байрачний ліс, хаотично розташований у низині. Сьогодні такі ліси трапляються рідко, здебільшого через те, що їх вирубують на дрова. Згадується відоме прислів’я: «Де байрак, там і козак».
Цікаво, що слово «байрак», як і назва «балка Камликова», має тюркське походження. У сучасних тюркських мовах існує слово bayrak / bairaq / bayraq, що означає «прапор», «знак», або «стяг». Воно походить від старотюркського bairaq – «знак, відмітка, те, що вирізняється».
Приблизно з XVII–XVIII століття на території степової України, де козаки сусідували з тюркомовними народами: татарами та ногайцями, слово «байрак» набуло нового значення: так почали називати ліс у долині, яру або низині, тобто балку, вкриту деревами.
Якщо пройтися долиною балки, на землі можна помітити каміння й уламки цегли. Можливо, колись із цих матеріалів були складені фундаменти та стіни сільських хат чи господарських будівель, про що тепер залишається лише здогадуватися. Дивлячись на цю картину, розумієш: тут колись жили люди – працювали, раділи, сумували… А нині від усього того життя лишилося лише мовчазне каміння та дерева.
Назва хутора
Хутір Дар’євський деякі місцеві жителі називають Лохмачевим, а інші – Веселою Долиною. Імовірно, протягом свого існування цей хутір мав кілька назв. Одні мешканці запам’ятали одне найменування, інші – інше. З часом щось могло забутися або спотворитися в усній традиції, однак краще мати кілька назв для позначення місцевості, ніж жодної. До речі, офіційну назву, зазначену на карті 1853 року – хутір Дар’євський – старожили з навколишніх сіл вже не пам’ятають.
У книзі «Список земельных владений Екатеринославского уезда Екатеринославской губернии» за 1899 рік, на сторінці 41, згадується, що дворяни Пилипенко Миколай і Федір Миколайовичі володіли землею в хуторі Дар’євському, який належав до Анастасівської волості. За ними було закріплено 129,8 десятин придатної для обробітку землі та 1,2 десятини непридатної, разом – 131 десятина.
Далі, на сторінці 42 цієї ж книги, вміщено відомості про те, що дворяни Пилипенко Гаврило та Григорій Павловичі також володіли землею в хуторі Дар’євському Анастасівської волості. За ними було закріплено 129,8 десятин придатної для обробітку землі та 1,3 десятини непридатної – разом 131,1 десятини.
Спогади Віктора Костянтиновича Омельницького
За словами місцевого мешканця села Семенівка Віктора Костянтиновича Омельницького, він добре пам’ятає, що в степах існував хутір під назвою Весела Долина. За Погожівським, його також називали Лохмачева. Це був старий хутірець, життя в якому вирувало. Пізніше, вже в радянський період, там навіть збудували магазин. Люди жили добре, а природа була надзвичайно гарною.
Віктор Костянтинович розповів, що навіть «із Марганця туди приїжджали кутити». Нині на місці хутора не залишилося жодної хати. Все заросло густими чагарниками. Колись там був плодовий сад і невеликий ставочок, згадує старожил. В цьому хуторі жили переселенці на прізвище Огури – брати Іван і Василь. Це були браві, бойові хлопці. Там, де колись стояв хутір, і досі ростуть великі тополі. На їхній корі брати вирізали свої імена, прізвища, а також малюнки луків і стріл. Віктор Костянтинович припускає, що ті вирізьблені сліди, можливо, вже заросли корою.
Мешканка Томаківки Валентина, уродженка села Семенівка, згадує, що у хуторі була всього одна вулиця, на якій здебільшого стояли мазанки. Цегляних будинків було небагато. Вулиця проходила зліва від тих самих тополь. Нині на цьому місці – розоране поле. Через значну відстань до найближчих сіл, мешканці хутора Дар’євського тримали коней, а також мали власну кузню. У радянський час сюди, з сусідньої Томаківки, після 9-го класу привозили школярів на виробничу практику. Вони жили у будівлі клубу, який на той час ще функціонував.
У книзі «Історія міст і сіл УРСР» 1969 р. знаходимо таку інформацію: «Петрівка (давня назва Пилипенкове) – село, центр сільської Ради, розташоване за 7 км на південний захід від районного центру і за 10 км від залізничної станції Мирова. Сільській Раді підпорядковані також населені пункти Весела Долина, Семенівка, Сергіївка. Населення – 157 осіб. Колгосп «Ленінський шлях» має 3864 га орної землі. Основний напрям артілі – вирощування 848 зернових та м’ясо-молочне тваринництво. Допоміжні галузі господарства – садівництво, птахівництво, шовківництво. Село виникло після 1861 року».
Спогади Анатолія Леонідовича Бойка
(за орфографією оригіналу)
За спогадами Анатолія Леонідовича Бойка, одного з останніх мешканців села Весела Долина, який дожив тут до 1980-х років:
«У селі було приблизно 40 будинків. Серед хат були, як старі глиняні хати мазанки, так і більш сучасні з цегли. У Веселій Долині був свій магазин, початкова школа та дитячий садок. Школа для старшекласників була у сусідньому селі Сергіївка або Кам’яна Долина, куди діти ходили пішки або їх підвозили по бездоріжжю.
У селі знаходилась своя кузня і плотня, де ліс використовували на сільські нужди. Була також і тракторна бригада №6 і поліводчіська. Тоді все висажували та сапали вручну. Колхоз називався Ленінський шлях, люди були працевлаштовані. Була ферма до 100 корів, там і молодняк вирощували. Конюшня була до 30 коней, серед них був один відомий на всю округу, кінь на прізвисько «Понеділок». На цьому коні Степан Михайлович Дзябко брав участь в перегонах у Томаківці і Дніпрі та займав призові місця».
Згодом вдалось поспілкуватись із донькою Степана Михайловича – Іриною, яка надала світлину свого батька верхи на коні та підтвердила, що він починав свій трудовий шлях з іподрому та дуже любив коней.
Спогади Валентини Федорівни Дзябко
Валентина Федорівна приїхала до с. Весела Долина на заробітки, а потім вийшла заміж за Степана Михайловича Дзябка, який там проживав. Валентина Федорівна розповіла:
«У селі Весела Долина всі працювали на землі: саджали, пололи, а потім збирали все, що було посіяно... Ще в’язали віники. У селі був дитячий садочок та великий клуб в якому відбувалися різні заходи, проводили «Новорічні ялинки», крутили кіно для місцевих мешканців, тощо...
Згадується ще, коли на територію села заходили дикі тварини зі степу, вони заходили прямо до людей у двори, бо не було огорожі. Серед них були: дикі кабани, лисиці і навіть лось, який заглядав у маленьке віконце хатки».
Під час свят завжди звучала музика: грали на інструментах і співали пісень. Світлина із сімейного архіву Ірини Дзябко.
Спогади Анатолія Щербяка
«Село Весела Долина було дуже гарним. Хати в основному були глиняні хати-мазанки, але були й нові цегляні будинки із червоної цегли. Таких новозбудованих будинків було чотири. У селі було дві вулиці. Біля будинків зазвичай росли акації. Городи мешканців виходили в бік ставка. У селі був свій магазин, клуб та ясла. Ще був трудовий табір, куди привозили школярів із Томаківської школи, яким було років по п’ятнадцять, жили вони в місцевому клубі. Це були 1974–1975 рр.
Ставок був красивий, навколо нього росли тополі та груші. Очерета тоді не було, як зараз. Тут можна було зловити невеличких карасиків. Водилися навіть ондатри. З іншою сторони ставка знаходився старий колодязь «Журавель». В основному з нього напували корів. Ще пам’ятаю, як колись тато їхав на мотоциклі та зустрів на своєму шляху кабаниху з виводком, які перебігали дорогу.
По яру в бік с. Борисівка було одне живописне місце, де росли верби – «Вербички», як його називали місцеві».
Спогади Василія Лукича Бабушкіна
Вісімдесятирічний старожил Василь Лукич Бабушкін згадує, як у молоді роки разом із товаришами ходив на риболовлю до ставка в селі Весела Долина. Тоді добре клювали шаран, карась, білий і чорний бичок, а також тюлька. Над ставком росли величезні верби, тополі та груші. За словами Василя Лукича, такого зеленого й красивого ставка не було більше ні в одному селі.
У селі Весела Долина (яке ще називали Лохмачовою) розводили чимало риби, тому навіть хлопці з Привільного частенько приходили сюди ловити шаранчиків, а потім бігали до клубу.
А ще Василь Лукич пригадує, чому село Весела Долина називали також хутором Лохмачова. За його словами, колись тут жив один пан, дуже бородатий чоловік. Через це люди прозвали його Лохмачем. Коли він приїжджав до Борисівки, діти бігли за возом і вигукували: «Лохмач їде, цукерки розкидає!»
Тополі зберігають пам’ять
Про хутір Дар’євський (також відомий як Лохмачева, або Весела Долина) мені неодноразово доводилося чути від мешканців сіл Борисівка та Семенівка, розташовані неподалік від місця колишнього поселення. Також бачив цей хутір на старовинних картах. Завжди мріяв побувати там і знайти бодай якісь сліди минулого – уламки цегли або черепиці з клеймом, що зберегли дух тієї епохи.
Вперше мені вдалося дістатися до місця, де колись був хутір, спекотного літнього дня 2023 року. Температура на полях сягала понад 40 градусів. Коли ми сюди приїхали, все навколо було заросле густими, майже непрохідними хащами. Через виснажливу спеку вирішили не ризикувати і перенесли пошуки на інший раз.
Вдруге я потрапив сюди вже восени 2025 року. Погода була значно приємнішою, і цього разу вдалося зайти трохи далі – у саму гущу місцевості, де колись стояли хати. На початку шляху переді мною постала мальовнича картина – три велетенські тополі, що росли поруч, утворюючи своєрідний трикутник. Зайшовши всередину цього природного утворення, відчув себе ніби в казці – між трьома гігантськими деревами, що зберігають тишу і таємницю колишнього життя.
Написи на тополях, які вдалось розпізнати: «Ваня та Вася». Скоріш за все саме про них згадував старожил із сусіднього селища Семенівка – Вітор Костянтинович Омельницький.
Над балкою Камликовою ростуть три тополі. З одного боку їхнє коріння виходить у невеликий яр, що впадає в балку. Під землею, просто в стінках яру, можна побачити сплетіння старих коренів, мабуть, землю вимила проточна вода. Видовище незвичне та водночас привабливе. У цьому корінні легко могла б сховатися не одна людина, проте краще не перевіряти – у темряві може затаїтися дикий звір, якого важко помітити. А ще тут можуть мешкати змії чи великі павуки.
Хоч коріння і має цікавий вигляд для туристів, для самих дерев це небезпечно: ґрунтова ерозія послаблює їхню стійкість і під сильним вітром тополі можуть упасти. Можливо, варто було б засипати відкриту частину коріння землею, щоб урятувати ці дерева від подальшого руйнування. Таких тополь більше ніде в окрузі немає. Вони ростуть у формі трикутника, а на їхній корі збереглися написи людей, які колись жили тут або просто були гостями села Весела Долина.
Підкова на добру згадку
Під час краєзнавчої експедиції на території колишнього села Весела Долина 27 серпня 2025 року я виявив цікаву знахідку – старовинну підкову, встромлену просто в стовбур величезного дерева. Підкова мала доволі великі розміри, вірогідно, належала коню-тягачеві. Раніше мені ніколи не доводилося бачити нічого подібного. Припускаю, що давно хтось вирішив залишити цю підкову як пам’ять про село (яке колись існувало тут) та про коней, яких тримали його мешканці. Унікальності знахідці додає й те, що, найімовірніше, підкову викували у місцевій кузні.
Поділившись інформацією з колегами-краєзнавцями, я почув різні думки. Одні вважають цю знахідку надзвичайно цікавою, інші ж зауважують, що вона могла зашкодити дереву. Ця історія нагадує мені написи на старих тополях, які стоять, немовби люди з непростим минулим у «татуюваннях» часу.
На мою думку, ця вросла у тополю підкова, сьогодні має історичну цінність і символізує одну з галузей, якою займалися мешканці села Весела Долина. Для мене ж вона не просто шматок металу в дереві, а символ колишнього життя, що колись тут вирувало. Вона немов жива пам’ять про минуле, яке досі дихає серед цих дерев.
Стара груша
Це одна з небагатьох груш, яка збереглась у цьому урочищі. Вона росте неподалік ставка. Хотілося б зберегти кожне деревце, яке тут лишилося, незалежно від його віку. Добре, що це дерево дожило до наших днів, адже навколо, як і в багатьох інших місцях, видно лише пеньки.
На мою думку, ми повинні берегти старі ліси та водночас створювати нові заліснення у степах. У нашій Дніпропетровській області лісів залишилося небагато, і з кожним роком їх стає все менше.
За спогадами місцевих жителів, після того, як цегляні будинки розібрали, а глиняні мазанки знесли, їхні залишки закопали у велику яму неподалік. Тоді ж було видано наказ спиляти всі дерева, що росли вздовж вулиць, аби розорати землю й утворити нове поле. Це були акації, тополі та інші дерева. Людям було боляче дивитися на це, адже саме тут минуло їхнє дитинство: вони зростали серед цих дерев, слухали спів птахів, яким затишно було на їхніх гілках. Тут жили й працювали їхні батьки, діди та бабусі. Добре, що старі дерева залишилися хоча б навкруги цього ставка та нагадують про історію села з чудовою назвою – Весела Долина.
Шматочки цегли з клеймом
Фурор у ЗМІ
Нещодавно наше товариство «Марганець Туристичний» опублікувало одну з таких світлин, яку люб’язно надала Наталія Ізидорівна Копча, а оцифрувати її допомогла місцева мешканка с. Семенівка – Єлизавета Юріївна Ігнатченко. Цю новину підхопили деякі ЗМІ та спільноти. Зокрема, в групі ГАЗЕТА «Проспект Трубників» публікація про Веселу Долину зібрала 435 реакцій, 147 коментарів та 127 поширень.
Це приємно вразило. І, мабуть, я вперше по-справжньому відчув: ось вона – частинка тієї Української єдності, якої нам так не вистачає сьогодні. Дякую всім, хто зберігає пам’ять. Хто ділиться. Хто пам’ятає.
Дослідження тривають!
Матеріал для цієї публікації збирали разом із місцевими мешканцями тутешніх сіл, за спогадами їхніх батьків і людей, які раніше жили у селі Весела Долина. Коли я вперше приїхав на місце, де колись було село, побачив лише поле, ліс біля балки – і більше нічого. На той час у мене були тільки спогади Віктора Костянтиновича Омельницького, а будь-яких світлин тоді не було зовсім. Однак завдяки наполегливій праці учасників товариства «МТ», крок за кроком вдалося зібрати інформацію.
Можливо, ця невеличка робота стане зерном, з якого згодом проростуть нові дослідження історії цього села. Якби ми мали можливіість хоча б на мить повернутись у минуле, то, можливо, змогли б створити невеличкий музей, присвячений Веселій Долині. А якщо реально подивитись на сьогодення, то напевно добре було б поставити обеліск або табличку з нагадуванням про те, що тут було село Весела Долина.
Дякую за допомогу у зібранні матеріалів: Віктору Костянтиновичу Омельницькому, Анатолію Щербяку, Світлані Ігнатченко, Єлизаветі Ігнатченко, Наталії Ізидорівні Копчій, Валентині Зобневій, Ірині Дзябко, Валентині Федорівні Дзябко, Анатолію Леонідовичу Бойку, Василію Лукичу Бабушкіну, Ларисі Колихаловій, Nina Zholomus і Любові Пилипенко.
арта. 1853 р.
«Список земельных владений Екатеринославского уезда Екатеринославской губернии». 1899р.
Карта ZAPOROZH’YE U.S.S.R. 1943 р.
Історія міст і сіл Української РСР, 1969.
Нікопольська газета «Проспект Трубників».
Редакція від 16.03.2026









































